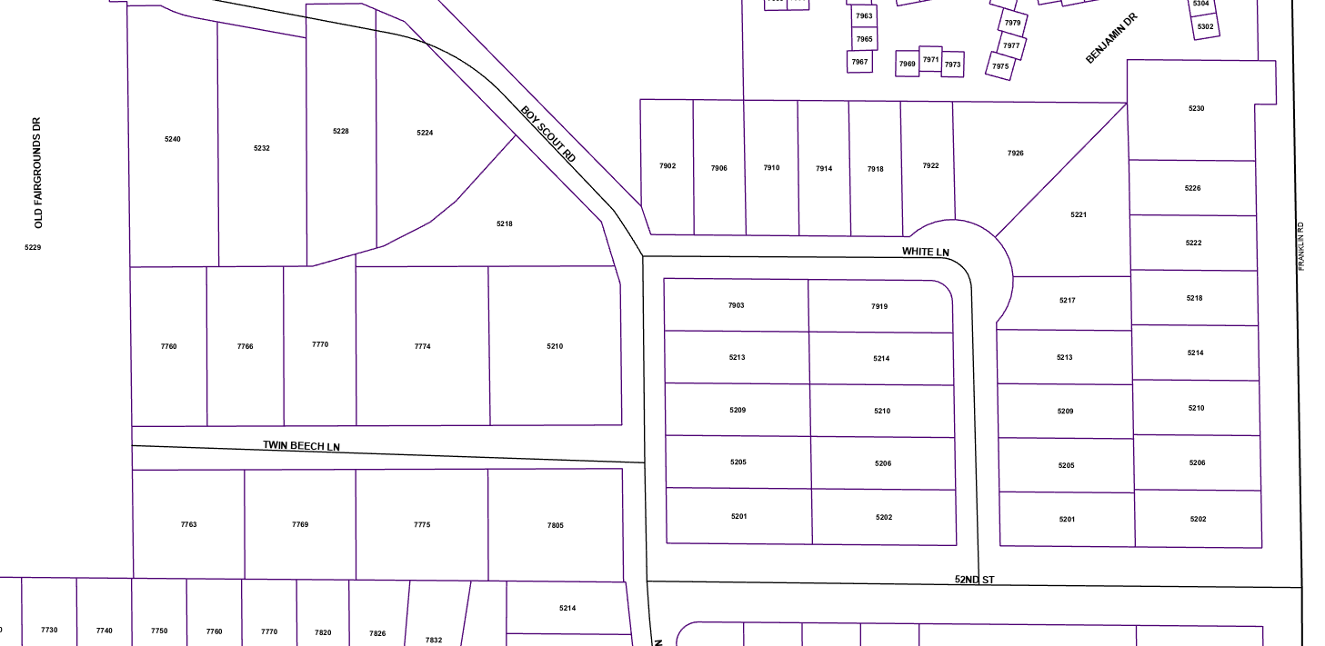
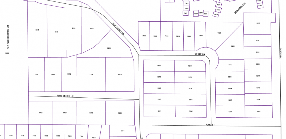
Notice: Franklin Road, White Lane, and Twin Beech Lane
August 4, 2025
The City of Lawrence Utilities will be performing high pressure sanitary sewer cleaning and video inspections on Franklin Road, White Lane, and Twin Beech Lane soon (see map below).
This work will be conducted between the hours of 7:30 a.m. and 4:00 p.m. The anticipated start date is Wednesday, August 6, 2025, and will require approximately 21 days to complete.
This work is part of our routine maintenance of the sanitary sewer system. To improve system performance and prepare the pipes for video inspection, high pressure cleaning/vacuum equipment will be used to thoroughly clean the pipes and remove debris and solids from the sewer system. This method of cleaning is safe, effective and will extend the system’s life. Further, it will provide better and more reliable service for our customers.
While problems are not expected, it is important to understand that excessive debris, inadequate or damaged venting systems in homes or businesses, sags in the main or other such conditions, may cause one or two situations to occur at your home or business.
1. High pressure may cause water to splash up from your toilet bowl. Please ensure that the toilet is flushed, and the lid is down when work is being done on your street.
2. High pressure can also draw the water from the “P-traps” or “J-bends” in floor drains and other fixtures such as sinks. Should this occur, you might detect a sewer odor. To remedy the situation, it will be necessary to run water in all suspect drains to fill the traps. Remember to check all floor drains near water softeners and water heaters (if you have them). Generally, about one quart of water should fill the trap.
Please remember to keep children out of the work area while the work is being done as the equipment is large and can be loud. Further, there may be open manholes in the area. Traffic restrictions may also be experienced.
If you have any questions, please feel free to contact Lawrence Utilities at 317-524-6303.
Thank you for your cooperation and patience while we perform these system improvements.
Documents
Photo Gallery









