Skip to main content
Site Map
Government
Toggle submenu
Departments
Mayor's Office
Controller's Office
Financial Information
Department of Public Works
Building Department
Apply & Pay for Permits
Contractors
Contractor Registration
Registration Fee Payments
Trash Collection
Trash & Recycle Collection Schedule
Trash / Recycle Toter
Updated Solid Waste Collection User Fees
Holiday Schedule
Collection Procedures
Recycle
Heavy Trash
Yard Waste Collection
Director of Public Works Renea Rafala
Human Resources
Employment
Legal Department
Public Records Requests
Tort Claims
Code of Ordinances
Parks and Recreation
City Parks
Alexander Park
Bragdon Wetlands Park
Civic Plaza
Community Park
Eugene Burns Football Park
Explorer Park
Fort Ben Cultural Campus
Lee Road Park
Louis J. Jenn Memorial Park
Oaklandon Play Park
Richardt Park
Veteran's Memorial Park
Facility Rentals
Activity Center
Community Center
Community Park Shelter
Explorer Park Shelter
Louis J. Jenn Memorial Park
Leagues and Activities
Waggin' Tails Bark Park
Parks Master Plans
Street Department
Report a Street Issue or Pothole
Stormwater Department
Communications
City Branding
Video Archive
Director of Communications Daniel Beyer
Administrative
Mayor Mail
Agendas & Minutes
Financial Information
Code of Ordinances
Municipal Advisor Agreements
Employment
City Branding
Video Archive
Elected Officials
Mayor Deborah Whitfield
City Clerk
Common Council
Tyrrell Giles, District 1
Rick Wells, District 2
Sherron Freeman, District 3
Carlos Jennings, District 4
Zach Cramer, District 5
Kristie Krone, District 6
Tracy Boyd, At-large
Liz Masur, At-large
Betty Robinson, At-large
Boards & Committees
Board of Public Works
Board of Zoning Appeals
Economic Development Commission
Fire Dept Hardship Leave Bank Board
Fire Merit Commission
Fire Pension Board
Lawrence Advisory Council on Disabilities
Lawrence Municipal Building Corp.
Parks & Recreation Board
Police Merit Commission
Police Pension Board
Redevelopment Commission
Storm Water Advisory Board
Utility Service Board
Services
Toggle submenu
City Services
Payment Services
Building Department
Trash Collection
Report a Street Issue
Report a Code Violation
Tort Claims
Facility Rentals
Public Records Requests
Zoning
Lawrence Utilities
Bill Payment
Resume Water Service
Eye on Water Program
Water/Sewer Bill Assistance Program
Water & Sewer Information
Construction Specifications
Free Wellfield Assessments
Consumer Confidence Reports
Superintendent’s Reports
Lawrence Lift Newsletter
Public Safety
Toggle submenu
Police Department
Police Employment
LPD Reports
Crime Watch
SafeCam Program Registration
Animal Control
Public Safety Communications
SWAT
K-9 Division
Police Administration
Police Merit Commission
Police Pension Board
In Memorial-Officer Craig Herbert
Fire Department
Fire Dept Employment
EMS Jobs
Firefighter Jobs
Fire Stations
Smoke Detector Request
Baby Box Information
Project Lifesaver
EMS Billing
Fire Administration
Fire Merit Commission
Fire Pension Board
LFD History
Our City
Toggle submenu
News
Visit Lawrence
Event Calendar
Volunteers
Sponsorships
City Parks
Facility Rentals
Neighborhood Hub
Association Listings
HOA and NA Differences
Association Registration
Neighborhoods
Fort Ben
Geist's Edge
Indian Lake
Lanesville
Oaklandon
The Pike
The Ridge
Sunnyside
Report a Code Violation
Live Longer in Lawrence
Mission & Vision
Health Education
Health Resources
Community Champions
Community Members
Organizations
Event Calendar
Lawrence is Beautiful
Voices of Lawrence
City History
Past Mayors
Do Business
Toggle submenu
Economic Development Website
Project Opportunities
Contractors List
Contractor Registration
GIS Maps
City Maps
How Do I...?
Toggle submenu
Make suggestions to Mayor Whitfield?
Make a public records request?
Request a Police Incident or Accident Report
File a tort claim?
Find out about trash collection?
Order or replace a trash/recycle toter?
Report a street issue or pothole?
Report a code violation?
Report a safety concern?
Pay a traffic/parking fine?
Apply for a gun permit?
Apply for a Blue Star Banner?
Pay my water/sewer bill?
Resume water service?
News
Lee Road Nature Trail Paving Continues
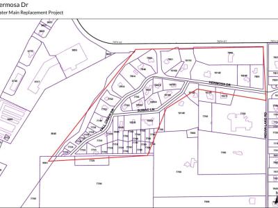
Water Main Repair Updates
Tour Lawrence Bikeshare Launches
Winterfest: A City of Lawrence Celebration
Community Shred-it and Electronics Recycling Day
Community Resource and Employment Fair
Community Altar Displayed in Sterrett Center
IPL: 79th Street will be closed for intermittent periods until Sunday
City of Lawrence Official Trick or Treat Hours
Sewer Cleaning Notice - Westborough at Winding Ridge
Dia de Los Muertos
Do you know the meaning behind an ofrenda?
Pagination
First page
first
Previous page
previous
Page
88
Current page
89
Page
90
Next page
next
Last page
last